Продаж виробничо-складської будівлі 3220 кв.м в Броварах (ТОРГМАШ). (№ 2-491-054)
| Адрес: Киевская, Броварской, Бровары, вул. Сергія Москаленка Тип: объект сферы услуг, прочее Площадь: 3220 м2 Этаж: 1 / 2 Участок: 46 сот Цена: 708 466 $
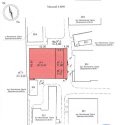
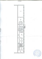
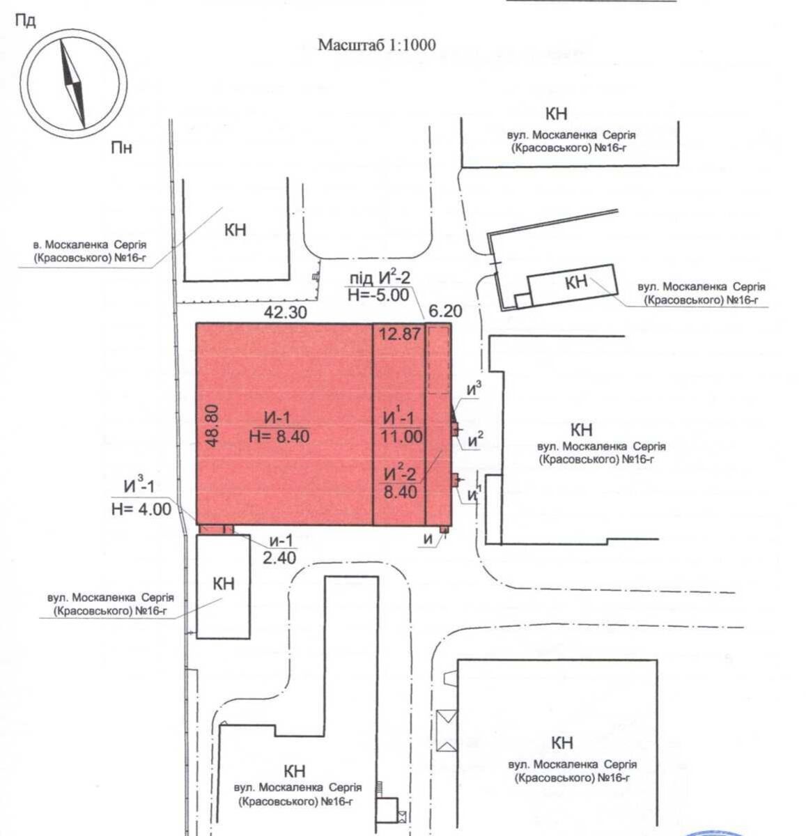
Продаж виробничо-складської будівлі в Київській області. Адреса обєкта: м. Бровари, вул. Сергія Москаленка (Красовського), Будівля складається з 2-х поверхів, має 5 воріт. Висота стель – 8 м. Площа обєкта – 3 220,3 кв.м. Земельна ділянка – 0,46 Га. Правовий статус: переступ права оренди Комунікації: Електрика – 750 кВт (є можливість збільшення потужності); Водопостачання та каналізація - центральні. Інфраструктура: Відстань від Києва – 14 км, від Броварської окружної дороги – 600 м. Будівля розташована на території виробничо-складського комплексу. Біля обєкта знаходиться зупинка громадського транспорту, будівельний та продуктовий супермаркет, відділення банку, кафе тощо. Вартість - 708 466 у.о. (220 у.о.u002Fкв.м) *Оплата в грн, за курсом на день угоди.. | ||||||||||||










